无障碍    |   

唐尧圣地 李氏故里
当前位置:首页 >  政务公开  >  法定主动公开内容  >  公告公示

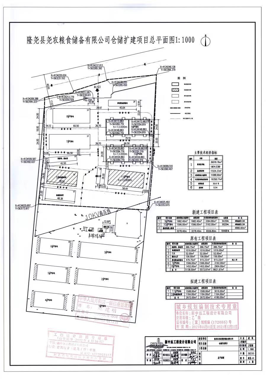
隆尧县自然资源和规划局关于隆尧县尧农粮食储备有限公司二期仓储扩建项目的批前公示

来源:自然资源和规划局 时间:2022-04-26 字体:【  

体裁分类:公告公示    主题分类:国土资源、能源    索引号:lyxgtzyj/1650956735333

批前公示.jpg

总平面图.jpg

 


扫一扫分享到手机端